
Preencha os campos para que um de nossos especialistas entre em contato
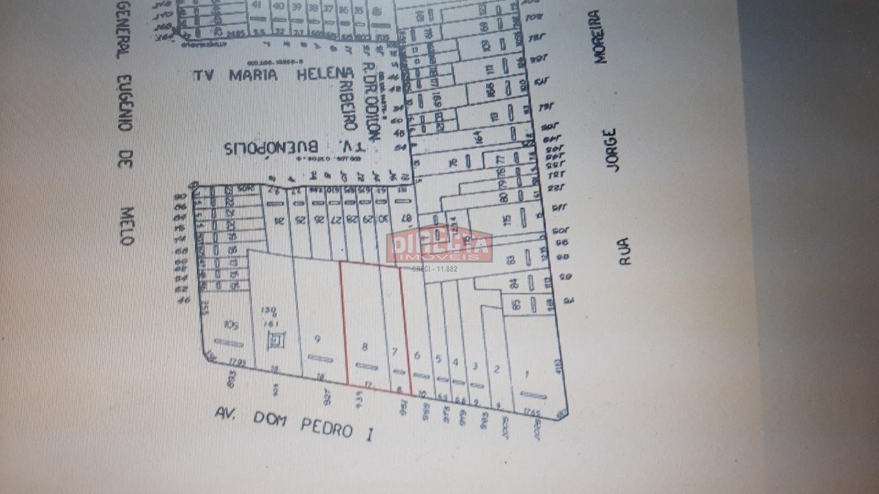
1° lote com 17 x 52 , 2° lote com 8 x 52 , no 2° lote tem um sobrado comercial muito bom com varias salas , recepção ótimo para clinicas médicas , total de terreno 1313 metros e 680 A/C
Preencha os campos para que um de nossos especialistas entre em contato